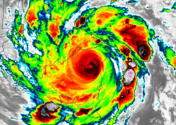
Centro Nacional de Huracanes alerta sobre efectos de Iota en Centroamérica
Ciudad de Guatemala, 17 nov (AGN).- Centroamérica aún hace frente a los daños ocasionados por el huracán Eta y ahora es golpeada por otro fenómeno de esa naturaleza: Iota. Aunque ...





















