Ciudad de Guatemala, 17 nov (AGN).- Centroamérica aún hace frente a los daños ocasionados por el huracán Eta y ahora es golpeada por otro fenómeno de esa naturaleza: Iota.
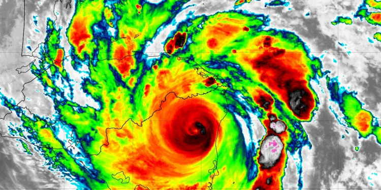
Aunque el ciclón bajó a categoría 1 la mañana de este martes, el Centro Nacional de Huracanes (CNH) de Estados Unidos alertó que aún “tiene potencial para producir efectos catastróficos”.
En su más reciente boletín, la entidad indica que podrían registrarse inundaciones repentinas y deslizamientos de lodo durante los dos días siguientes.
While #Iota's winds are lower, the #hurricane still has the potential to produce potentially catastrophic effects from flash flooding and mud slides over central America. Here are the Tuesday morning Key Messages for Iota. The full advisory is at https://t.co/tW4KeFW0gB pic.twitter.com/zJT8HfRVp2
— National Hurricane Center (@NHC_Atlantic) November 17, 2020
“Se esperan inundaciones repentinas y crecidas de ríos potencialmente mortales hasta el jueves en partes de América Central”, se lee en el documento.
Además, hace ver que en Honduras, Nicaragua y Guatemala estos eventos podrían verse exacerbados por los efectos recientes del huracán Eta en esos territorios.
Esto resultaría en impactos significativos o potencialmente catastróficos, reitera la institución.
Cuáles son las categorías que se usan para clasificar los huracanes
Así avanza Iota
De acuerdo con el CNH, el huracán continúa sobre Nicaragua y aún se esperan fuertes vientos en las costas de esa nación, así como en las de Honduras, en las próximas horas.
Iota pasó, en menos de 24 horas, de la categoría 5, que es la más peligrosa, a la 1. Se prevé que en el transcurso de este martes se convierta en tormenta tropical.
Pese a esto, sus efectos en el istmo se percibirán al menos hasta el jueves, según los expertos.
Hurricane #Iota Advisory 17: Iota Could Produce Potentially Catastrophic Flash Flooding And Mud Slides Across Portions of Central America For the Next Day Or Two. https://t.co/VqHn0u1vgc
— National Hurricane Center (@NHC_Atlantic) November 17, 2020
Guatemala en alerta
Ante este escenario, las autoridades de Guatemala se declararon en alerta roja y prepararon por lo menos 5 mil cajas de alimentos para trasladarlas a las familias que podrían verse afectadas.
Además, desplegaron equipos de respuesta inmediata a los departamentos en los que se prevén mayores daños, mientras se continúa con la asistencia a los damnificados por Eta.
Lea también
AGN kg/dm













