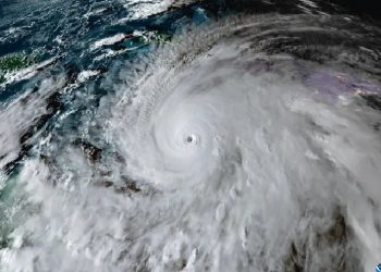
El huracán Melissa dejará al menos un millón y medio de afectados en su ruta por el Caribe
Ginebra, 28 oct (EFE).- La Federación Internacional de la Cruz Roja (FIRC) dijo este martes que se estima que al menos un millón y medio de personas sufrirán de manera ...













