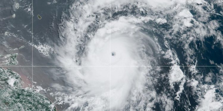
Ciudad de Guatemala, 30 jun (AGN).- La Coordinadora Nacional para la Reducción de Desastres (Conred) informó que se mantiene el monitoreo del huracán Beryl, en el mar Caribe, que este domingo se fortaleció a categoría 4 con se encuentra sobre el mar Caribe, con vientos sostenidos de 215 k/h, con desplazamiento hacia el oeste.
Además, la Conred advierte que si la trayectoria actual se mantiene, Beryl podría ingresar a la península de Yucatán, México, el viernes. Esto podría ocasionar un incremento de las lluvias durante el próximo fin de semana.
📃 En 8 pasos puedes elaborar el Plan Familiar de Respuesta, de esta manera estar preparado ante cualquier situación de emergencia o desastre. pic.twitter.com/kcMO19MNjF
— CONRED (@ConredGuatemala) June 30, 2024
Preparativos ante emergencias
Por ello, la institución recomienda a la población que, como medida de prevención ante cualquier emergencia, mantenga lista la mochila de las 72 horas. Esta debe contener agua pura, alimentos enlatados, algunas herramientas y una mudada de ropa.
También se debe incluir en la mochila un radio de transistores portátil para mantenerse informado y un botiquín con medicamentos. Además, se debe agregar una linterna, una copia de llaves de la casa, el teléfono celular con batería cargada y el DPI.
Asimismo, la Conred propone ocho pasos para preparar un plan familiar de respuesta ante cualquier emergencia o desastre.
Estos son los pasos para elaborar el plan familiar de respuesta:
- Identificar las vulnerabilidades, para lo cual se debe reconocer los lugares de riesgo internos y amenazas externas del hogar.
- Preparar acciones de prevención para responder a una situación de emergencia.
- Planificar los tres mejores escenarios para responder a una emergencia.
- Identificar los lugares seguros y rutas de evacuación en el hogar.
- Mantener buena comunicación con la familia, para lo cual se deben utilizar palabras claves.
- Asignar roles de acuerdo con la edad de cada miembro de la familia.
- Considerar la auto evacuación para lo cual se deben tomar en cuenta albergues, tanto oficiales como con familiares o vecinos.
- Tener preparada una mochila de 72 horas por cada integrante de la familia.
Dónde se encuentra el huracán Beryl
Entre tanto, la agencia de noticias varios territorios del Caribe oriental, entre ellos Barbados, Santa Lucía, Granada, Trinidad y Tobago y San Vicente y las Granadinas establecieron este domingo medidas de prevención y seguridad, como el cierre de negocios y escuelas, ante el paso del huracán Beryl.
Se prevé que Beryl llegue a esas islas como categoría 4 con peligrosos vientos y marejadas ciclónicas, según informó el Centro Nacional de Huracanes (NHC, en inglés) de Estados Unidos.
Este año, el Atlántico tendrá una temporada de huracanes muy por encima del promedio, con la posibilidad de hasta 13 huracanes. De estos hasta siete podrían ser de categoría mayor, según la Oficina Nacional de Administración Oceánica y Atmosférica (NOAA, en inglés) de Estados Unidos.
El pronóstico refleja que se podrían formar un total de entre 17 y 25 tormentas, es decir, con vientos máximos sostenidos por encima de los 62 kilómetros por hora.
También le puede interesar:
Presidente felicita y destaca la labor del Ejército de Guatemala en su 153 aniversario
rm













