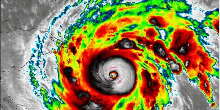
Ciudad de Guatemala, 16 de nov (AGN).- Esta madrugada el huracán Iota se ha intensificado a categoría 4. Esto podría propiciar un incremento de precipitaciones a partir de este lunes.
Las áreas afectadas con acumulados de lluvia son Petén, Izabal, Alta y Baja Verapaz, así como el norte de Huehuetenango y Quiché. Además, el noroeste de Zacapa y Chiquimula.
Según el reporte del Instituto Nacional de Sismología, Vulcanología, Meteorología e Hidrología (Insivumeh), Iota se encuentra 250 kilómetros al este de las costas de Prinzapolka, Nicaragua.
CÁPSULA INFORMATIVA. El huracán Iota se ha intensificado a categoría 4, el sistema podría incrementar las lluvias desde el día lunes sobre los departamentos de Petén, Izabal, Alta Verapaz, Baja Verapaz, Norte de Huehuetenango y Quiché, NorEste de Zacapa y Chiquimula. pic.twitter.com/Vx9RSAc3aG
— CONRED (@ConredGuatemala) November 16, 2020
Desplazamiento del huracán
El ente científico señala que Iota ha presentado vientos con velocidades superiores a los 200 kilómetros por hora. Este hecho hizo que se le otorgara la categoría 4 en la escala de Saffir Simpson mientras continúa su trayectoria a las costas de Nicaragua.
Se prevé que ingrese a ese país durante la madrugada del martes; no obstante, en Guatemala generaría lloviznas o lluvias intermitentes durante todo el día.
El Insivumeh explica que debido a que los suelos continúan saturados y las lluvias incrementarán sobre la mayor parte del territorio guatemalteco desde el martes, se deben tomar las precauciones necesarias.
Tales recomendaciones se dan ante la posibilidad de lahares en la cadena volcánica, crecidas repentinas de ríos, inundaciones, derrumbes o problemas en la red vial.
COOPERACIÓN INTERNACIONAL. Gracias al apoyo del hermano país de El Salvador, hemos finalizado la distribución de 30,000 raciones donadas para familias afectadas por la DEPRESIÓN TROPICAL ETA y el acercamiento de la TORMENTA TROPICAL IOTA. pic.twitter.com/Fou0H13Fa6
— CONRED (@ConredGuatemala) November 16, 2020
Acciones por acercamiento de Iota
Ante la información compartida por Insivumeh, la Coordinadora Nacional para la Reducción de Desastres (Conred) continúa desarrollando acciones como el preposicionamiento de recursos en áreas que podrían verse afectadas.
Autoridades de esa entidad indicaron que se mantiene comunicación constante con las autoridades y el sistema de coordinadoras locales para la toma de decisiones.
Presidente Giammattei abogará por fondos para el cambio climático en Honduras
Asimismo, se emiten diferentes avisos informativos dirigidos a la población y autoridades.
Por lo anterior, se recomienda a la población tener listo su plan familiar de respuesta con funciones para todos los miembros de la familia, contar con su mochila de las 72 horas, kit de emergencia para mascotas y promover la autoevacuación en caso de ser necesario.
Lea también
Ejecutivo cuantifica daños por depresión Eta y se prepara para el huracán Iota
AGN jm/kg/dm













